
bedrooms
bedrooms
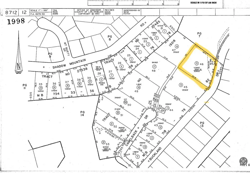
Charming over 35,000 sf view lot situated in the City of Walnut. Great potential for owner use or land development. Award Winning Walnut Unified School District. Short distance to Collegewood Elementary School and Mt. San Antonio City College. Easy access to Fwy 10/57/60/210.
Listing provided courtesy of Amie Chen of ReMax 2000 Realty. Last updated . Listing information © 2025 PACIFICSOTHEBYSFULLSANDICORCOMBINED.

6965 El Camino Real #105-418
Carlsbad, CA 92009
Get Directions
619.350.4100

This information is deemed reliable but not guaranteed. You should rely on this information only to decide whether or not to further investigate a particular property. BEFORE MAKING ANY OTHER DECISION, YOU SHOULD PERSONALLY INVESTIGATE THE FACTS (e.g. square footage and lot size) with the assistance of an appropriate professional. You may use this information only to identify properties you may be interested in investigating further. All uses except for personal, noncommercial use in accordance with the foregoing purpose are prohibited. Redistribution or copying of this information, any photographs or video tours is strictly prohibited. This information is derived from the Internet Data Exchange (IDX) service provided by San Diego MLS. Displayed property listings may be held by a brokerage firm other than the broker and/or agent responsible for this display. The information and any photographs and video tours and the compilation from which they are derived is protected by copyright. Compilation © 2025 San Diego MLS.

We've copied your review, after you click 'Publish' please paste your review by selecting 'ctrl' + 'v' into the review comments section.
One fine body…