Property Detail

740 Poppyfields

Altadena CA 91001

$625,000

Status: Active

Property Details

Description

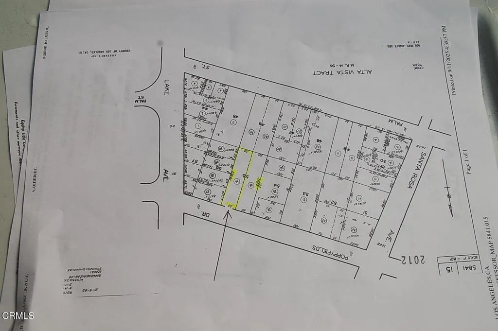
This lot is ideal for future development assessor map shows 50 x 209 nice deep 10,499 foot rectangular lot. located just west of Lake Ave.A savvy contractor after walking the site will notice development possibilities the gentle down slope at street frontage may offer tuck under garages, saving additional lot space to build more structures on. In addition utilizing setbacks may offer a wider house build. County records show what may have been a guest house ?Buyer to verify how many structures may be built on subject property under current code. From street level their are city light & mountain views. Great lot north of Altadena Dr.See attached plot maps adjacent to the blue easement line is aprox 15 foot paved road surface entry off Poppyfields this connects to a 30 ft easement at the south portion of subject property may allow Ingress & Egress separate entry to guest house /ADU at rear of deep lot. Buyer to verify.

Map Location

Listing provided courtesy of Eddie Kanouse of Coldwell Banker Realty. Last updated . Listing information © 2025 PACIFICSOTHEBYSFULLSANDICORCOMBINED.

Megan Root

Megan Root

CA DRE# 01351843
Inquire Now
Roya1234 Real estate 9:00 AM - 5:00 PM 9:00 AM - 5:00 PM 9:00 AM - 5:00 PM 9:00 AM - 5:00 PM 9:00 AM - 6:00 PM 9:00 AM - 5:00 PM 9:00 AM - 5:00 PM https://www.royacdn.com/unsafe/smart/Site-d4e2aea3-4679-4187-8479-90c618d39a9b/megan_root_heashot.jpg realtor # # # https://www.royacdn.com/unsafe/smart/Site-d4e2aea3-4679-4187-8479-90c618d39a9b/megan_root_heashot.jpg https://www.google.com/maps/place/MilestonePropertiesCA.com/@33.1044426,-117.2678412,15z/data=!4m5!3m4!1s0x0:0x203e6c4135692a61!8m2!3d33.1044426!4d-117.2678412 https://shoutoutsocal.com/meet-megan-root-real-estate-broker/